旅行記 | 怒涛の10日間海遊び!西表島&宮古島(9)伊良部島 SUP & シュノーケリング
夏休みを利用して、西表/宮古島にスノーケリング旅行に行ってきました!全行程で10日間。
2022海遊び、最後は、SUPとシュノーケリングの1日ツアーです。
The Big Blue on the sup 1日コース
人のつながりって、本当にありがたいですよね。SUPでお世話になるThe Big Blueさんは、宮古で長年シュノーケリングツアーでご一緒させていただいたガイドさんから、ご紹介いただいたショップさんです。
基本はプライベートツアーになるので、1日1組限定(午前のみ・午後のみも選べます)。今回は1日コースをお願いしたので、朝ホテルに迎えに来ていただき、1日一緒に遊びたおすツアーです。ご夫婦でやられているのですが、お二人とも本当にいい方で、毎回、ツアーの日がくるのが楽しみです。予約のときに、シュノーケリング、SUP、時間があればSUPヨガをやりたいとリクエストしていて、あとは海況や我々のレベルをみながら調整いただき、当日行く場所がきまります。
今回は、伊良部島でSUPシュノーケリングを楽しみました。
SUP (午前)
SUP(Stand Up Paddleboard)は、サーフボードのロングボードのようなボードの上に立ち、パドルで水面を漕いでいくマリンスポーツです。海だけでなく、湖や、流れの穏やかな川で楽しまれている方もいらっしゃいます。
私達は、The Big Blueさんで初めて体験しました。最初は、基本的なパドルの持ち方、漕ぎ方、ボードへののりかた、注意点などをレクチャーいただいて、穏やかな海で講習いただきましたが、何度もやって乗り方は覚えたので?!、最近は、すぐに海にでて目的地を目指すことができるようになりました。
シュノーケリングが大好きで海の中ばかりに行っていた私達ですが、パドルスポーツの面白さに触れ、近年は、シーカヤックや、リバーカヌー、ラフティングなどにも挑戦するようになりました。SUPにめぐり合わせてくれたThe Big Blueさんに感謝です。
今回は、伊良部島の周辺をSUPで巡ります。天候にも恵まれ、海も穏やかで最高のSUP日和です。上から見ても珊瑚がスケスケ。日差しが強いので、日焼け対策はしっかりする必要がありますが、最高のクルージングです!途中、きれいなビーチによったり、岩場の下で休憩したりしながら、2時間たっぷり楽しみました。




ランチ
ランチは、おススメの島のお店に、ご案内いただけます(ランチ代もツアー代金に込みです)。我が家は、宮古そばや、島の食堂系が大好きなので、昔からやっている食堂に連れて行ってもらうことが多いです。今回は、伊良部島のお隣、下地島にある「お食事処さしば」さんへ。「さしばの里」の中にある食堂で、ANA宿舎をリニューアルした下地島コーラルホテルなども同じ敷地内あるので、稼働率が高い印象です。以前、お正月に来た時に、島の食堂はほとんど閉まっていてランチ難民になりかけたのですが、こちらは空いていて、ランチをしたことがあります。
島の食堂なので、ボリューム系メニューが多いです!宮古そばも食べましたがどれも、美味しいですよ。食後には、セルフサービスでコーヒーも用意されています。



美味しいランチのあとは、至福のお昼寝。夏の日差しは強いので、東屋の陰で、海を見ながら、たっぷり休憩して、午後のシュノーケリングです。


シュノーケリング(午後)
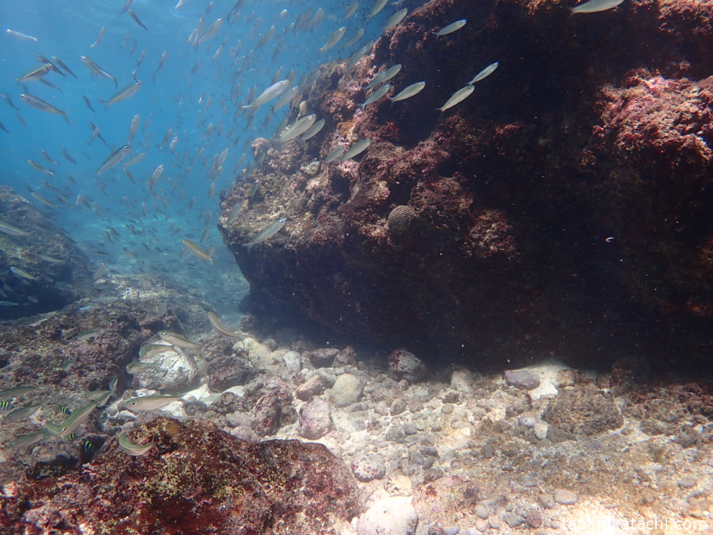
午後のシュノーケリングは、サバウツガー(ガーというのは宮古島の方言で井戸という意味)。昔、佐良浜集落の生活用井戸があった場所です。井戸までは100数段の急な岩場の階段をくだっていかなければなりません。水汲みは女性の仕事で、水道が整備されるまでは、何度も階段をつかって往復されていたと聞くと、本当に苦労がしのばれます。

我々も、急な階段をくだってエントリー。海にはいって早々、ミジュンの群れに遭遇!キラキラして本当にきれいでした。少し進むと、珊瑚がぎっしり。ただ、浅瀬の珊瑚は、海水温上昇でかなり白化がすすんでいるようでした。少し深場の珊瑚は元気!





こんなキレイな海で、泳げるなんて本当に幸せです。海からあがると、ペットボトルにお水を用意いただいているので、潮をながして、さっぱり♪サーターアンダギーをおやつにいただいて、今回も楽しい海遊びでした!
The Big Blueさんでは、ホテルへのお迎えから実施いただけるので、レンタカーをかりていない方でもOKです!完全プライベートツアーなので、自分達のレベルや希望にあわせて、ポイントに連れて行っていただけますし、SUP中やシュノーケリング中の写真も撮影いただけるので思い出になりますよ。海遊びはじめてなんだけど、という方にもお勧めできるショップさんです!
The Big Blue ブログ
沖縄県宮古島市平良字西里1-22-1F



